BESLUIT

Parochiekerk Sint-Gillis-Binnen, pastorie met tuin en 18de-eeuws gedeelte van de abdij

ID: 753 URI : https://id.erfgoed.net/besluiten/753

Definitieve beschermingsbesluiten

Aanduidingstype Beschermd monument, Beschermd cultuurhistorisch landschap
Provincie Oost-Vlaanderen
Uitgevaardigd als Koninklijke besluiten
Ondertekend door De Backer - Van Ocken, Rika, Koning Boudewijn
Datum ondertekening
Belgisch staatsblad Gepubliceerd op
Geen digitale publicatie beschikbaar.
Opmerkingen officieel plan?; uitbreiding van bescherming; De Backer - Van Ocken, Rika toegeschreven op basis van functie; te Dendermonde (Dendermonde)

Relaties

Wordt voorafgegaan door: Parochiekerk Sint-Gillis-Binnen: toren
Definitieve beschermingsbesluiten

Items opgenomen in dit besluit

De gegevens worden opgehaald


    Downloads

    Bestanden
    Alle bestanden downloaden
    Besluit
    0753.pdf
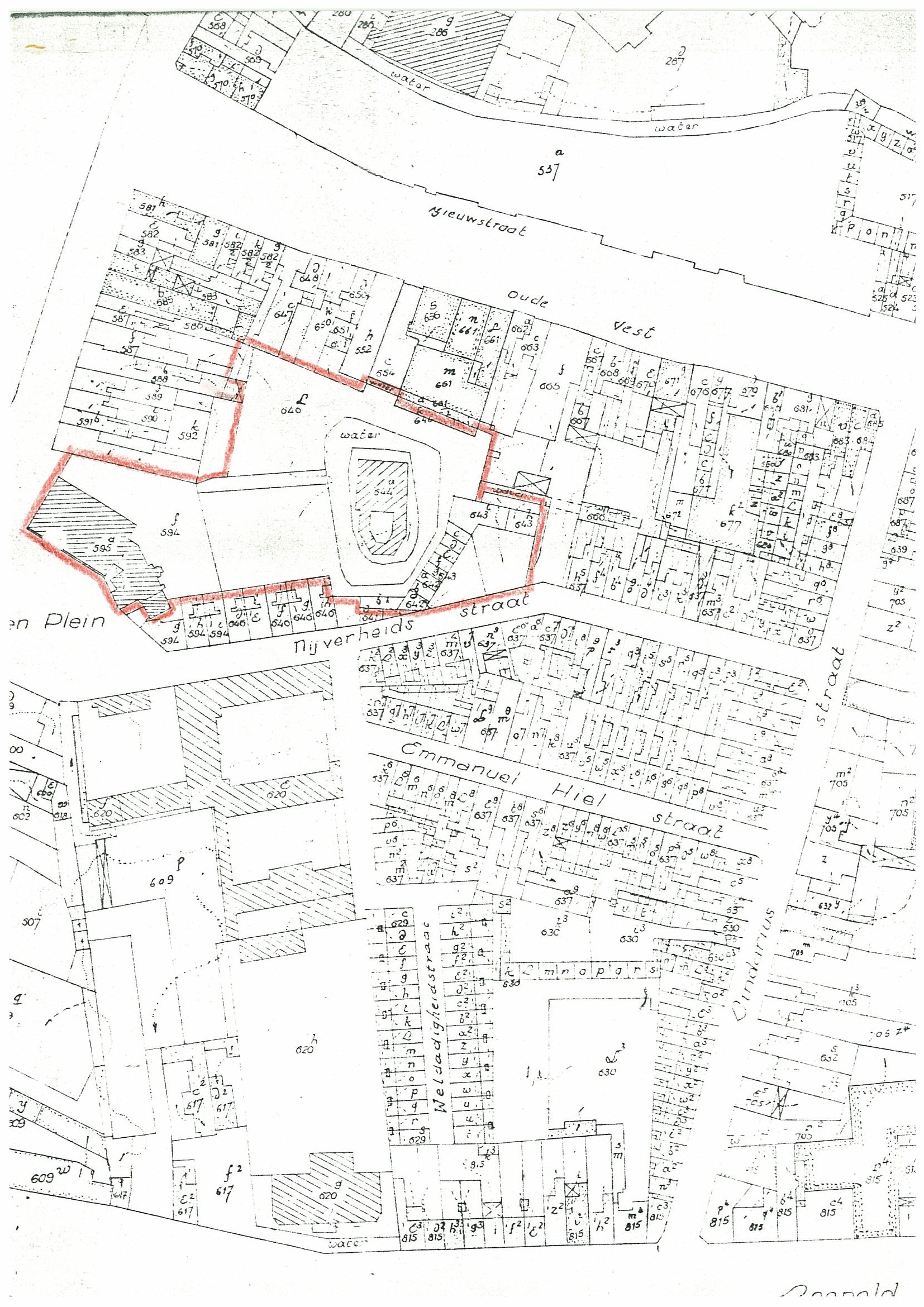
    Plan
    0753_plan.jpg
    Metadata

    Beheerder besluit: Agentschap Onroerend Erfgoed