BESLUIT

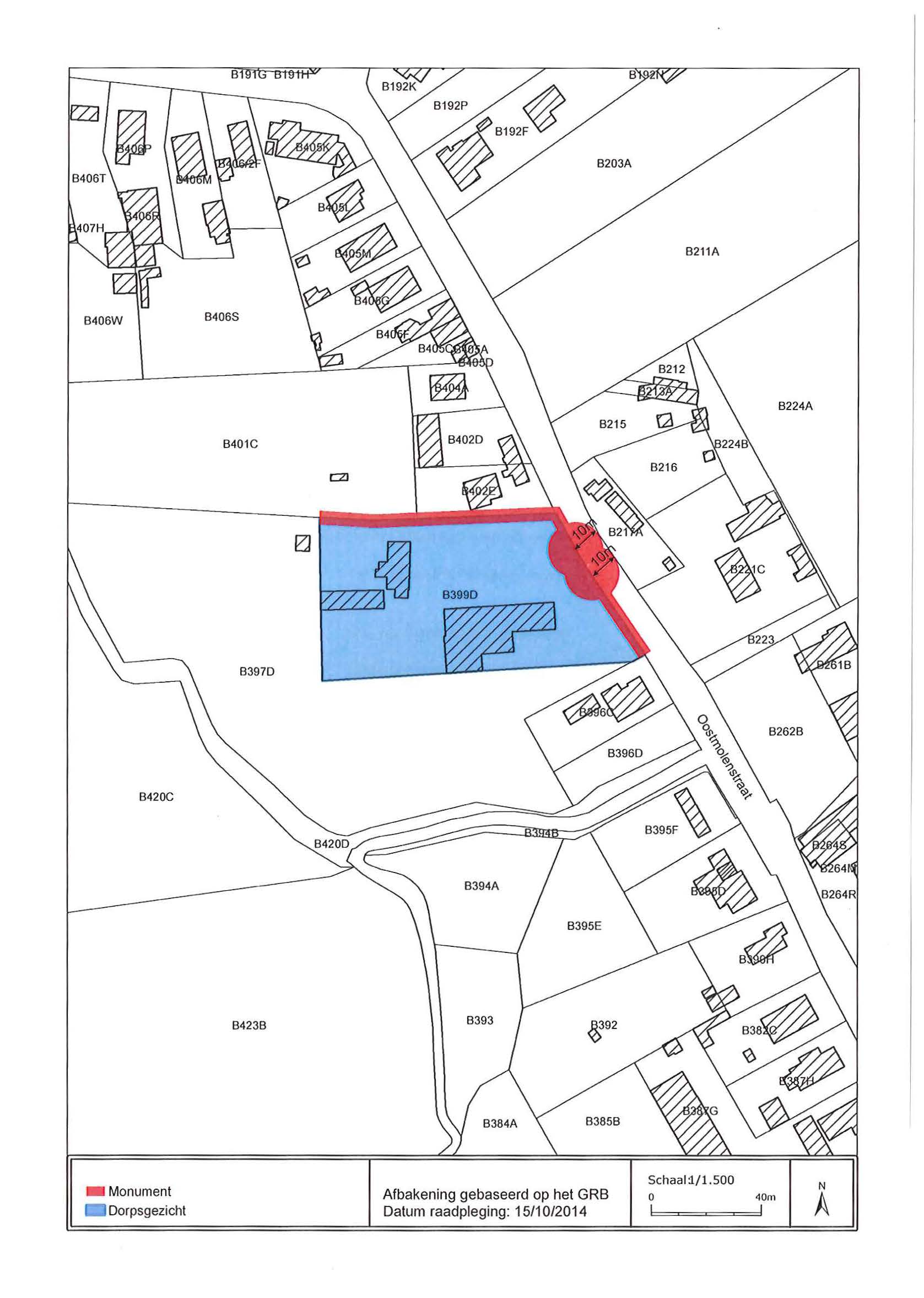
Welkomstbomen, hulsthaag en hoevesite

ID: 5621 URI : https://id.erfgoed.net/besluiten/5621

Definitieve beschermingsbesluiten

Aanduidingstype Beschermd monument, Beschermd stads- of dorpsgezicht
Provincie Oost-Vlaanderen
Uitgevaardigd als Ministeriële besluiten
Ondertekend door Bourgeois, Geert
Datum ondertekening
Belgisch staatsblad Gepubliceerd op , jaargang 185, nummer 45
De digitale publicatie kan je vinden
Opmerkingen -

Relaties

Wordt voorafgegaan door: Welkomstbomen, hulsthaag en hoevesite
Voorlopige beschermingsbesluiten

Items opgenomen in dit besluit

De gegevens worden opgehaald


    Downloads

    Bestanden
    Alle bestanden downloaden
    Besluit
    5621.pdf
    Plan
    5621_plan_recto.jpg
    Plan
    5621_plan_verso.jpg
    Metadata

    Beheerder besluit: Agentschap Onroerend Erfgoed