BESLUIT

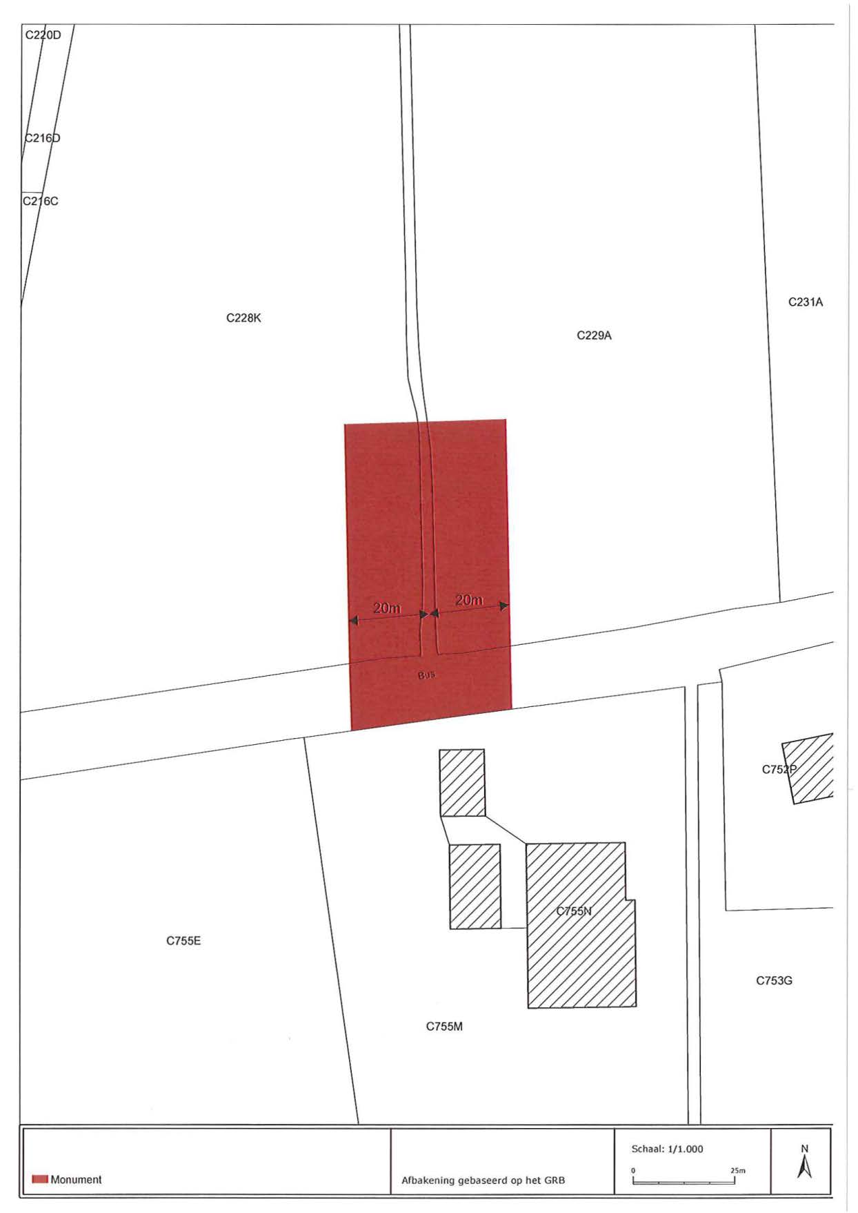
Oude knotbomenrij

ID: 5258 URI : https://id.erfgoed.net/besluiten/5258

Definitieve beschermingsbesluiten

Aanduidingstype Beschermd monument
Provincie Oost-Vlaanderen
Uitgevaardigd als Ministeriële besluiten
Ondertekend door Bourgeois, Geert
Datum ondertekening
Belgisch staatsblad Gepubliceerd op , jaargang 184, nummer 22
De digitale publicatie kan je vinden
Opmerkingen te Eeklo

Relaties

Wordt voorafgegaan door: Oude knotbomenrij
Voorlopige beschermingsbesluiten

Items opgenomen in dit besluit

De gegevens worden opgehaald


    Downloads

    Bestanden
    Alle bestanden downloaden
    Besluit
    5258.pdf
    Plan
    5258_plan_recto.jpg
    Plan
    5258_plan_verso.jpg
    Metadata

    Beheerder besluit: Agentschap Onroerend Erfgoed