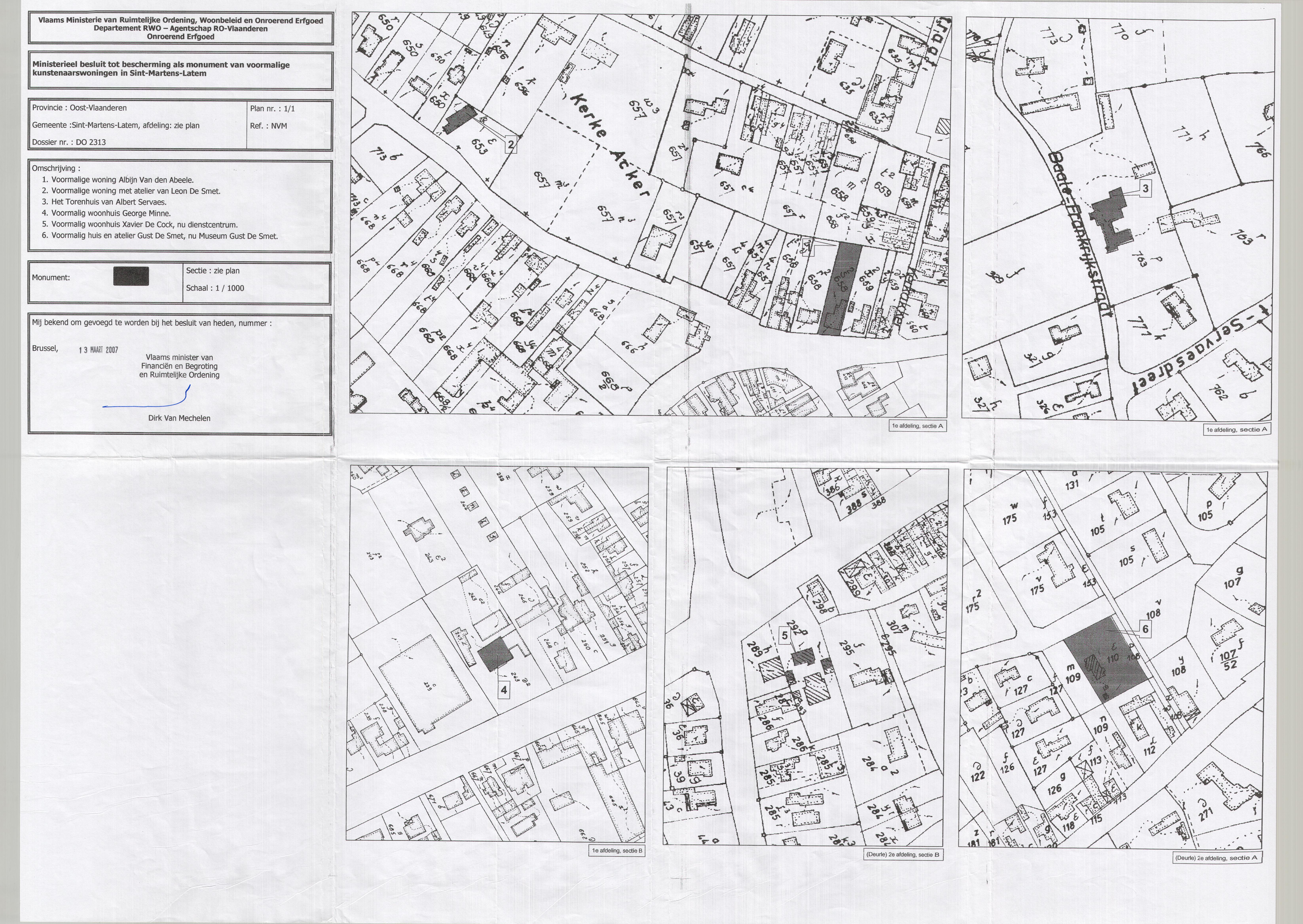
BESLUIT

Kunstenaarswoningen

ID: 4485 URI : https://id.erfgoed.net/besluiten/4485

Definitieve beschermingsbesluiten

Aanduidingstype Beschermd monument
Provincie Oost-Vlaanderen
Uitgevaardigd als Ministeriële besluiten
Ondertekend door Van Mechelen, Dirk
Datum ondertekening
Belgisch staatsblad Gepubliceerd op , jaargang 177, nummer 202
De digitale publicatie kan je vinden
Opmerkingen te Sint-Martens-Latem (Sint-Martens-Latem/Deurle)

Relaties

Wordt voorafgegaan door: Kunstenaarswoningen
Voorlopige beschermingsbesluiten

Items opgenomen in dit besluit

De gegevens worden opgehaald


    Downloads

    Bestanden
    Alle bestanden downloaden
    Besluit
    4485.pdf
    Plan
    4485_plan.jpg
    Metadata

    Beheerder besluit: Agentschap Onroerend Erfgoed