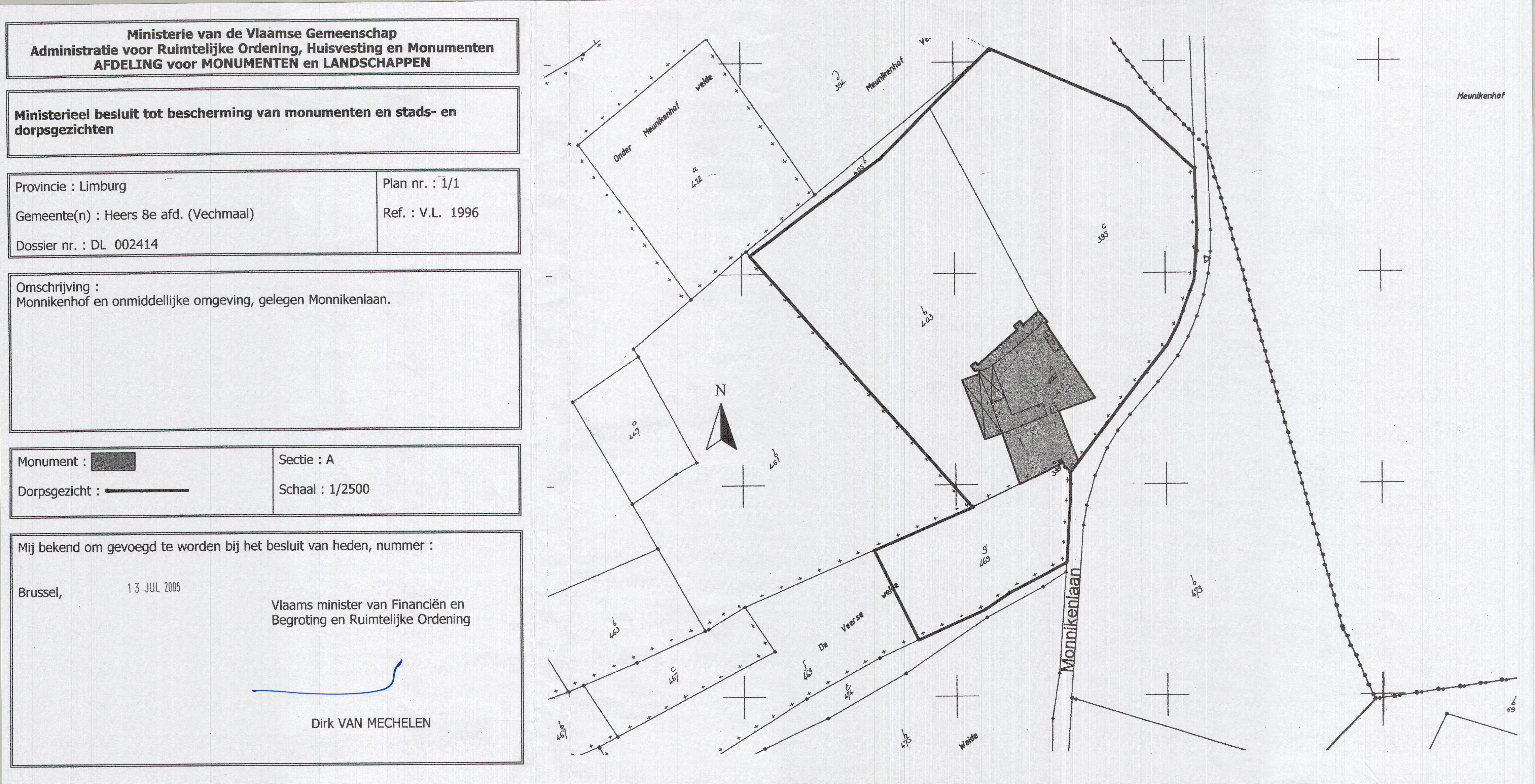
BESLUIT

Monnikenhof met omgeving

ID: 4431 URI : https://id.erfgoed.net/besluiten/4431

Definitieve beschermingsbesluiten

Aanduidingstype Beschermd monument, Beschermd stads- of dorpsgezicht
Provincie Limburg
Uitgevaardigd als Ministeriële besluiten
Ondertekend door Van Mechelen, Dirk
Datum ondertekening
Belgisch staatsblad Gepubliceerd op , jaargang 176, nummer 139
De digitale publicatie kan je vinden
Opmerkingen te Heers (Vechmaal)

Items opgenomen in dit besluit

De gegevens worden opgehaald


    Downloads

    Bestanden
    Alle bestanden downloaden
    Besluit
    4431.pdf
    Plan
    4431_plan.jpg
    Metadata

    Beheerder besluit: Agentschap Onroerend Erfgoed