BESLUIT

Geografisch pakket Zelzate, Assenede en Evergem

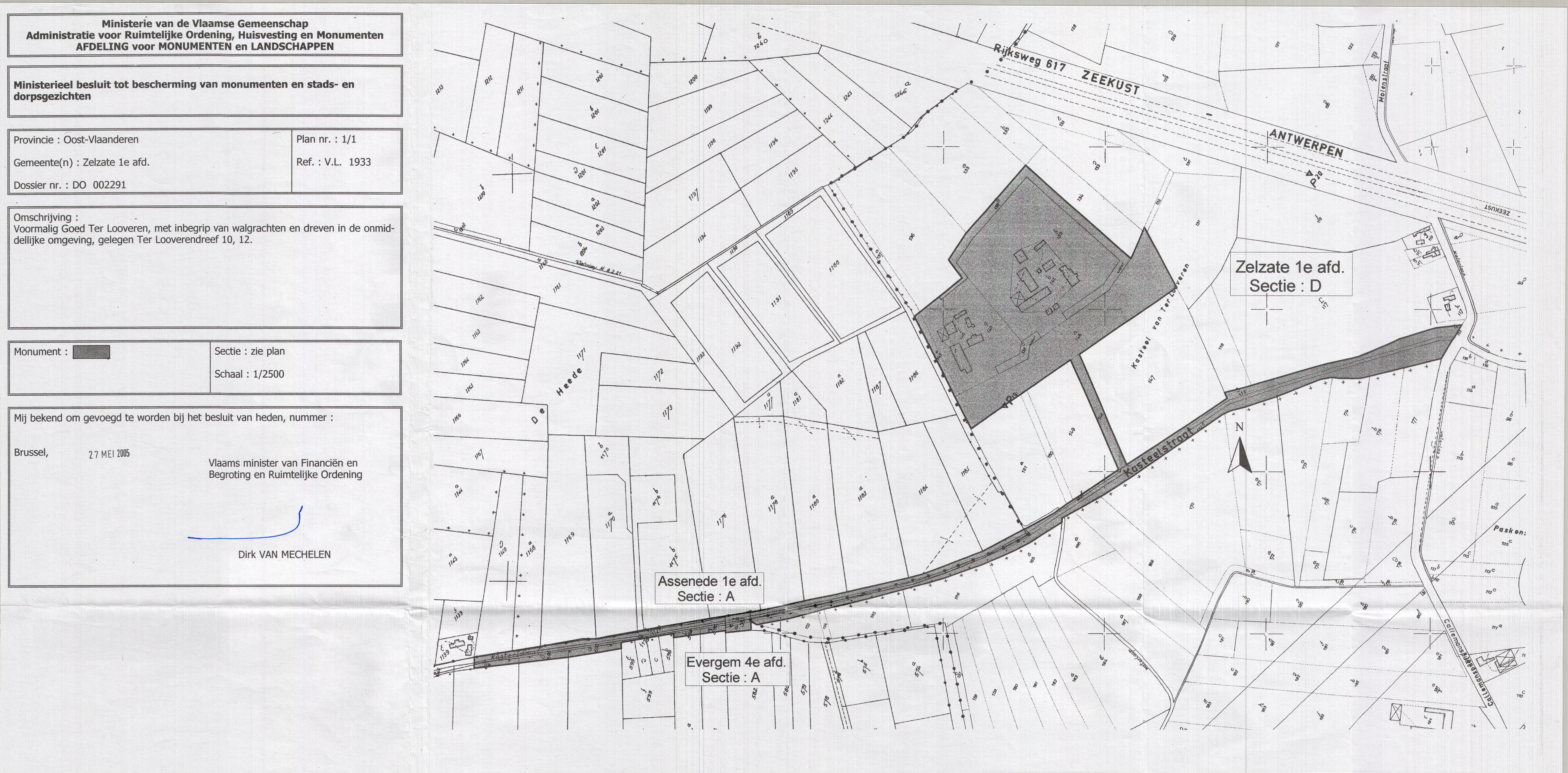
ID: 4387 URI : https://id.erfgoed.net/besluiten/4387

Definitieve beschermingsbesluiten

Aanduidingstype Beschermd monument
Provincie Oost-Vlaanderen
Uitgevaardigd als Ministeriële besluiten
Ondertekend door Van Mechelen, Dirk
Datum ondertekening
Belgisch staatsblad Gepubliceerd op , jaargang 175, nummer 203
De digitale publicatie kan je vinden
Opmerkingen -

Relaties

Wordt voorafgegaan door: Geografisch pakket Zelzate, Assenede en Evergem
Voorlopige beschermingsbesluiten

Items opgenomen in dit besluit

De gegevens worden opgehaald


    Downloads

    Bestanden
    Alle bestanden downloaden
    Besluit
    4387.pdf
    Plan
    4387_plan.jpg
    Metadata

    Beheerder besluit: Agentschap Onroerend Erfgoed