BESLUIT

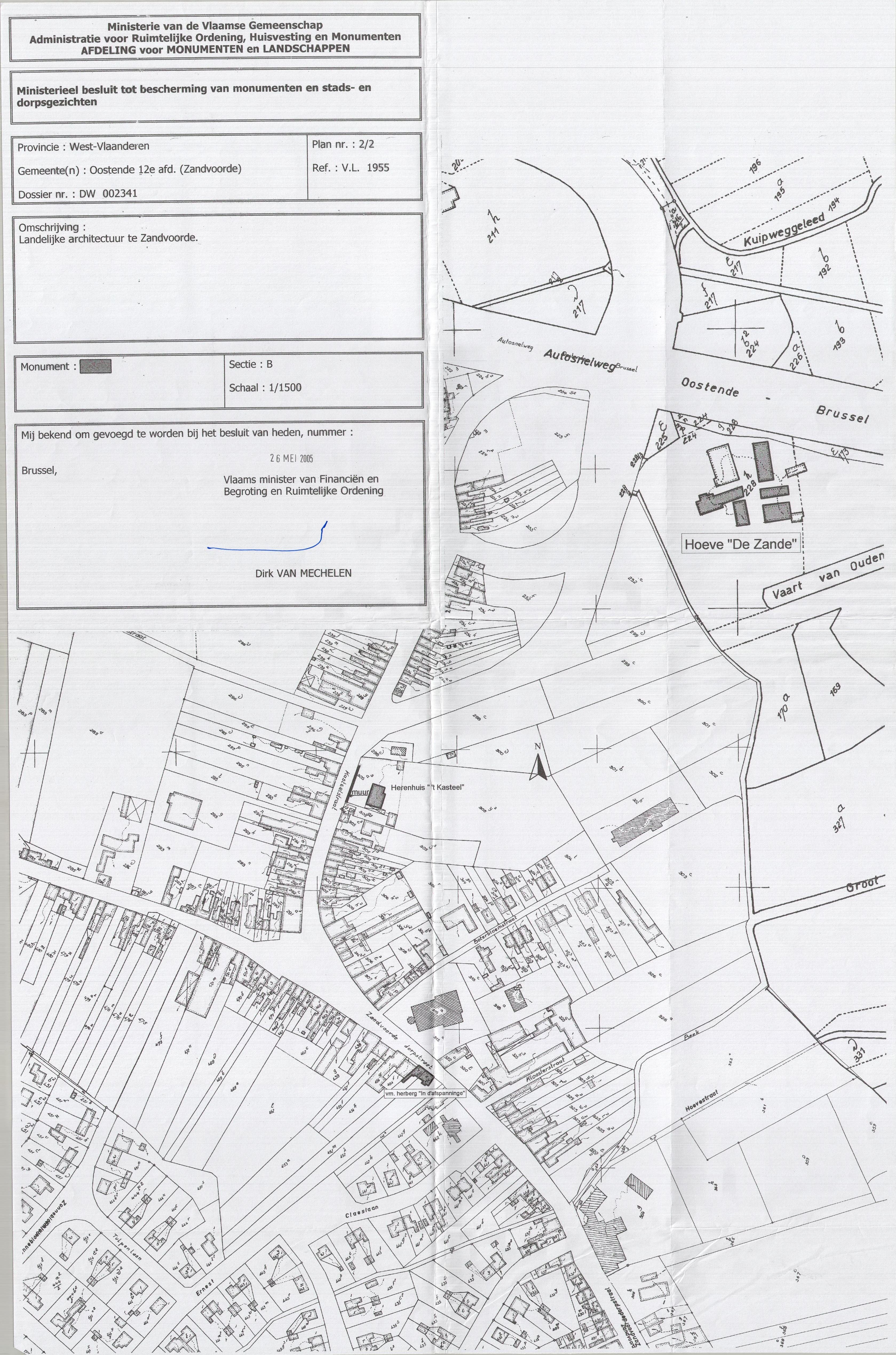
Landelijke architectuur en geodetisch signaal op de Polderdijk

ID: 4385 URI : https://id.erfgoed.net/besluiten/4385

Definitieve beschermingsbesluiten

Aanduidingstype Beschermd monument, Beschermd stads- of dorpsgezicht
Provincie West-Vlaanderen
Uitgevaardigd als Ministeriële besluiten
Ondertekend door Van Mechelen, Dirk
Datum ondertekening
Belgisch staatsblad Gepubliceerd op , jaargang 175, nummer 203
De digitale publicatie kan je vinden
Opmerkingen te Oostende (Stene/Zandvoorde)

Items opgenomen in dit besluit

De gegevens worden opgehaald


    Downloads

    Bestanden
    Alle bestanden downloaden
    Besluit
    4385.pdf
    Plan
    4385_plan_1.jpg
    Plan
    4385_plan_2.jpg
    Metadata

    Beheerder besluit: Agentschap Onroerend Erfgoed