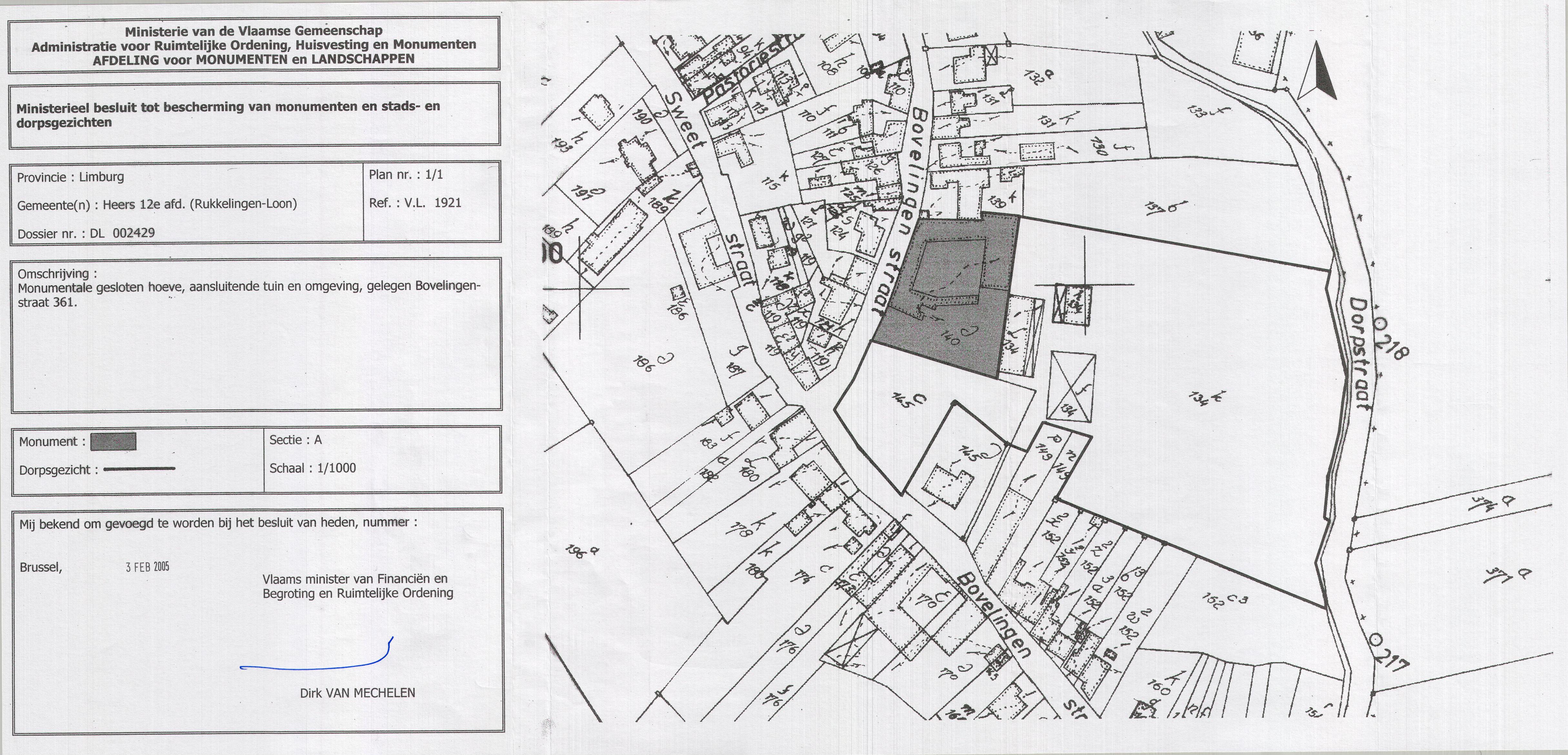
BESLUIT

Gesloten hoeve met tuin, hekwerk en omgeving

ID: 4341 URI : https://id.erfgoed.net/besluiten/4341

Definitieve beschermingsbesluiten

Aanduidingstype Beschermd monument, Beschermd stads- of dorpsgezicht
Provincie Limburg
Uitgevaardigd als Ministeriële besluiten
Ondertekend door Van Mechelen, Dirk
Datum ondertekening
Belgisch staatsblad Gepubliceerd op , jaargang 175, nummer 121
De digitale publicatie kan je vinden
Opmerkingen te Heers (Rukkelingen-Loon)

Items opgenomen in dit besluit

De gegevens worden opgehaald


    Downloads

    Bestanden
    Alle bestanden downloaden
    Besluit
    4341.pdf
    Plan
    4341_plan.jpg
    Metadata

    Beheerder besluit: Agentschap Onroerend Erfgoed