BESLUIT

Gemeentehuizen

ID: 10627 URI : https://id.erfgoed.net/besluiten/10627

Voorlopige beschermingsbesluiten

Aanduidingstype Beschermd monument
Provincie Oost-Vlaanderen
Uitgevaardigd als Ministeriële besluiten
Ondertekend door Van Mechelen, Dirk
Datum ondertekening
Belgisch staatsblad Gepubliceerd op , jaargang 179, nummer 155
De digitale publicatie kan je vinden
Opmerkingen te Aalst/Berlare/Beveren/Deinze/Gent/Geraardsbergen/Hamme/Kruibeke/Lede/Lovendegem/Maarkedal/Melle/Merelbeke/Oosterzele/Oudenaarde/Sint-Niklaas

Relaties

Wordt gevolgd door: Gemeentehuizen
Definitieve beschermingsbesluiten

Items opgenomen in dit besluit

De gegevens worden opgehaald


    Downloads

    Bestanden
    Alle bestanden downloaden
    Besluit
    20090415_1.pdf
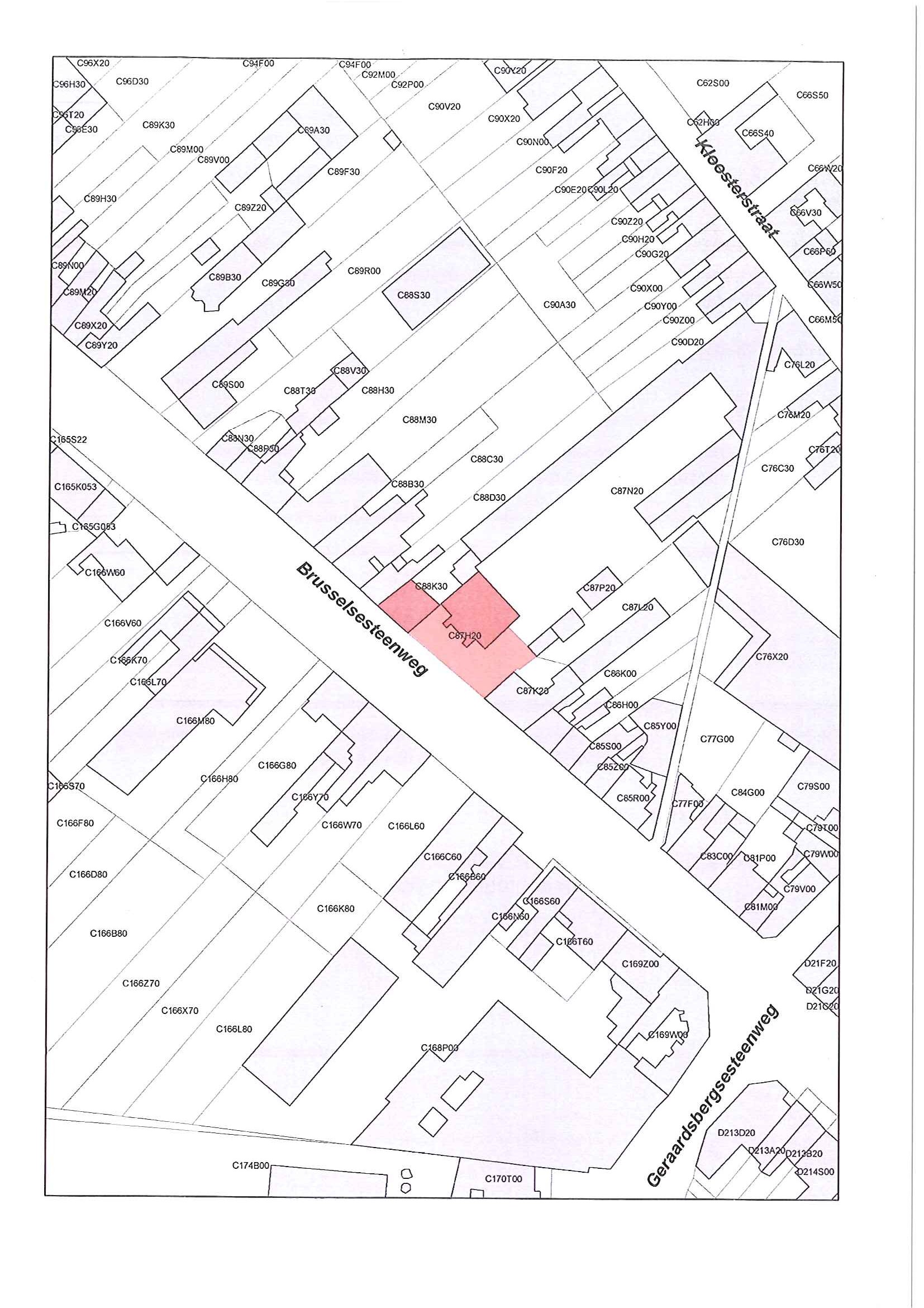
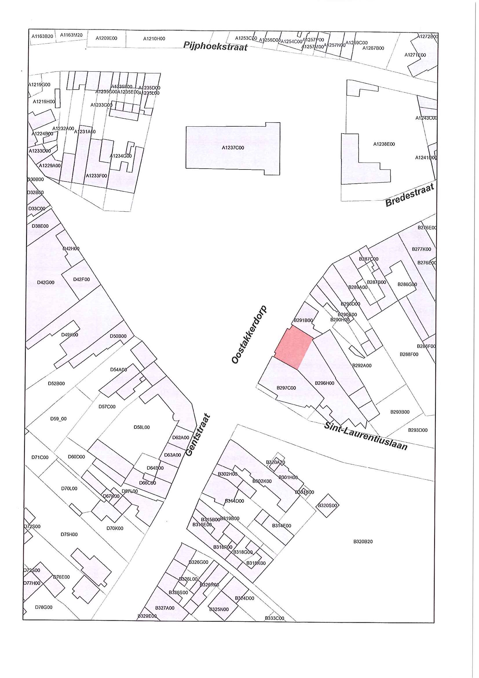
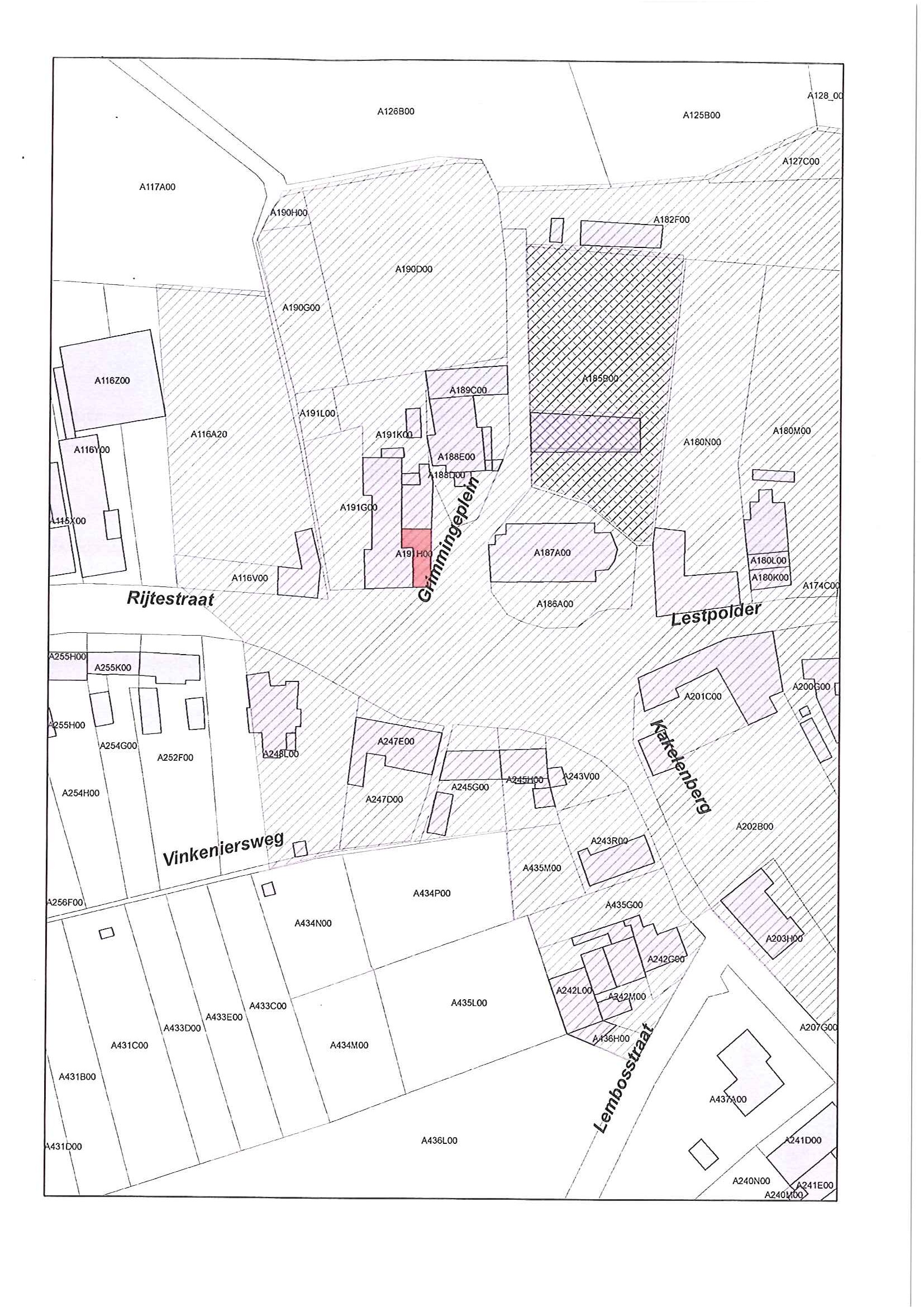
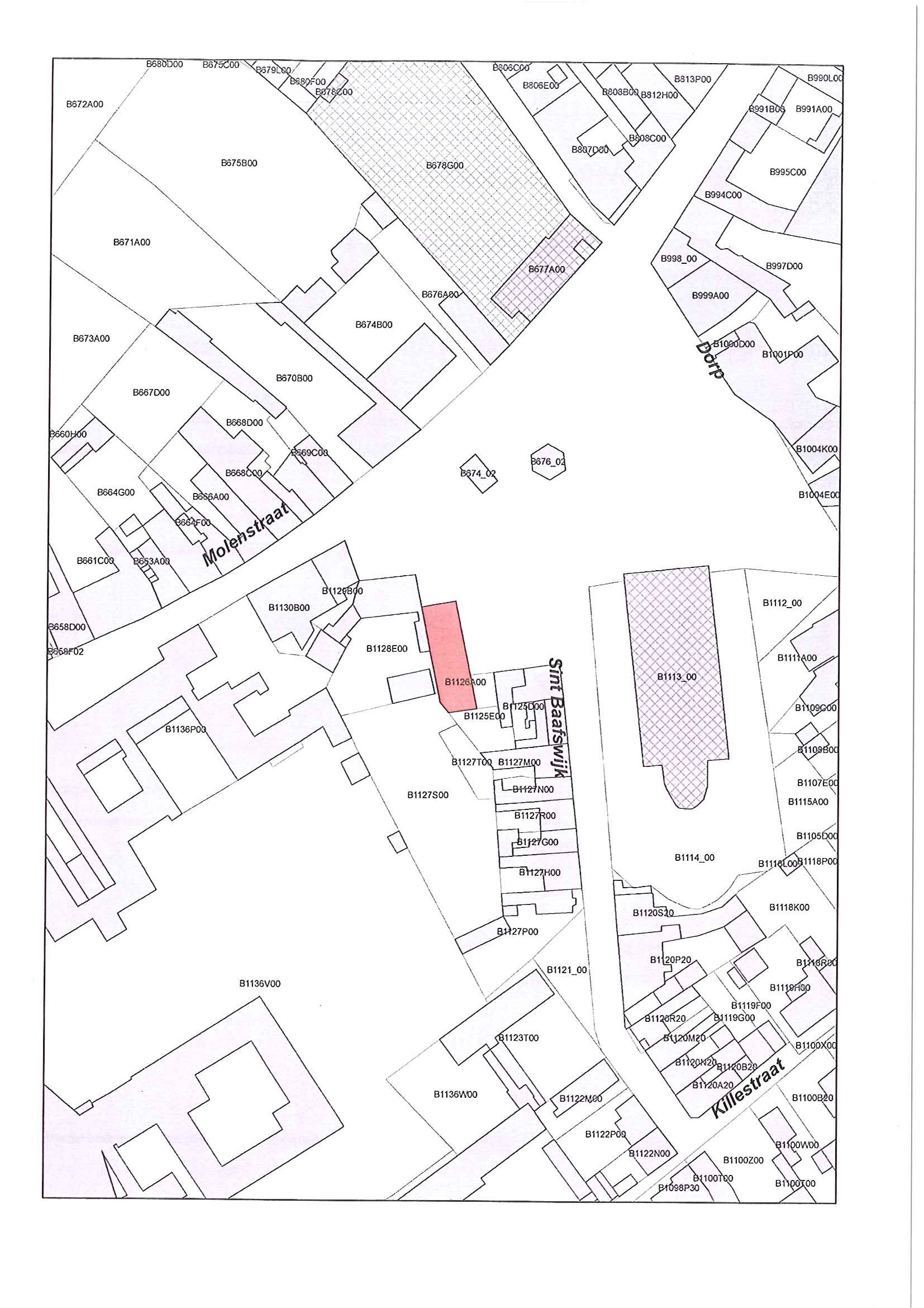
    Plan
    20090415_1_plan_9_recto.jpg
    Plan
    20090415_1_plan_6_recto.jpg
    Plan
    20090415_1_plan_16_recto.jpg
    Plan
    20090415_1_plan_5_recto.jpg
    Plan
    20090415_1_plan_15_verso.jpg
    Plan
    20090415_1_plan_3_recto.jpg
    Plan
    20090415_1_plan_16_verso.jpg
    Plan
    20090415_1_plan_15_recto.jpg
    Plan
    20090415_1_plan_5_verso.jpg
    Plan
    20090415_1_plan_11_recto.jpg
    Plan
    20090415_1_plan_14_recto.jpg
    Plan
    20090415_1_plan_18_recto.jpg
    Plan
    20090415_1_plan_2_recto.jpg
    Plan
    20090415_1_plan_13_recto.jpg
    Plan
    20090415_1_plan_8_verso.jpg
    Plan
    20090415_1_plan_3_verso.jpg
    Plan
    20090415_1_plan_4_verso.jpg
    Plan
    20090415_1_plan_10_verso.jpg
    Plan
    20090415_1_plan_8_recto.jpg
    Plan
    20090415_1_plan_1_recto.jpg
    Plan
    20090415_1_plan_13_verso.jpg
    Plan
    20090415_1_plan_18_verso.jpg
    Plan
    20090415_1_plan_9_verso.jpg
    Plan
    20090415_1_plan_4_recto.jpg
    Plan
    20090415_1_plan_19_verso.jpg
    Plan
    20090415_1_plan_11_verso.jpg
    Plan
    20090415_1_plan_17_verso.jpg
    Plan
    20090415_1_plan_19_recto.jpg
    Plan
    20090415_1_plan_1_verso.jpg
    Plan
    20090415_1_plan_10_recto.jpg
    Plan
    20090415_1_plan_12_verso.jpg
    Plan
    20090415_1_plan_12_recto.jpg
    Plan
    20090415_1_plan_7_verso.jpg
    Plan
    20090415_1_plan_17_recto.jpg
    Plan
    20090415_1_plan_7_recto.jpg
    Plan
    20090415_1_plan_14_verso.jpg
    Plan
    20090415_1_plan_6_verso.jpg
    Plan
    20090415_1_plan_2_verso.jpg
    Metadata

    Beheerder besluit: Agentschap Onroerend Erfgoed