BESLUIT

Houtig erfgoed

ID: 10584 URI : https://id.erfgoed.net/besluiten/10584

Voorlopige beschermingsbesluiten

Aanduidingstype Beschermd monument
Provincie Oost-Vlaanderen
Uitgevaardigd als Ministeriële besluiten
Ondertekend door Van Mechelen, Dirk
Datum ondertekening
Belgisch staatsblad Gepubliceerd op , jaargang 179, nummer 251
De digitale publicatie kan je vinden
Opmerkingen te Aalter/Brakel/Deinze/Gent/Hamme/Herzele/Kluisbergen/Kruishouten/Nevele/Oosterzele/Oudenaarde/Ronse/Waasmunster/Wortegem-Petegem/Zingem/Zwalm/Buggenhout/Sint-Martens-Latem

Relaties

Wordt gevolgd door: Houtig erfgoed
Definitieve beschermingsbesluiten
Wordt gevolgd door: Knoteiken
Definitieve beschermingsbesluiten
Wordt gevolgd door: Geknotte fladderiepen, tamme kastanjes en deel van de vallei van de Sassegembeek
Definitieve beschermingsbesluiten
Wordt gevolgd door: Essenkaphaag en knotes met omgeving
Definitieve beschermingsbesluiten
Wordt gevolgd door: Boerentopiary van kip en haan
Definitieve beschermingsbesluiten
Wordt gevolgd door: Houtig erfgoed
Besluiten tot termijnverlenging

Items opgenomen in dit besluit

De gegevens worden opgehaald


    Downloads

    Bestanden
    Alle bestanden downloaden
    Besluit
    20090616_4.pdf
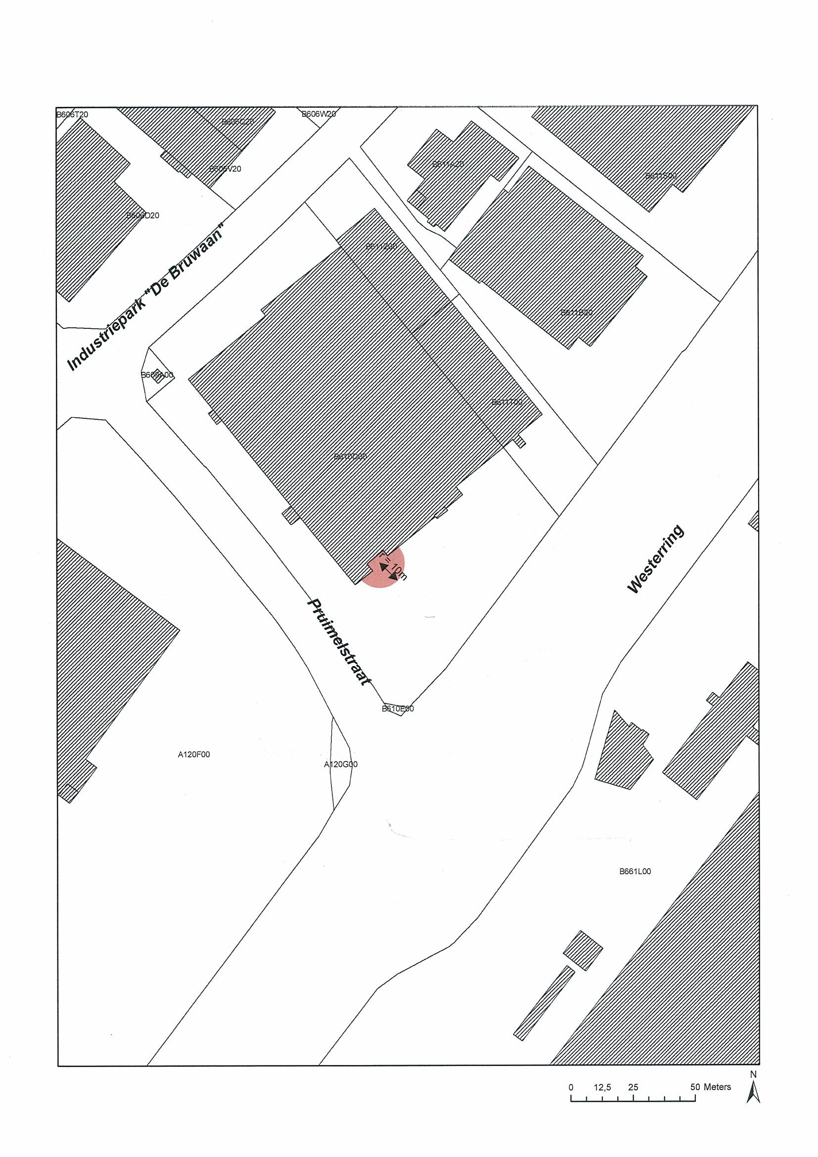
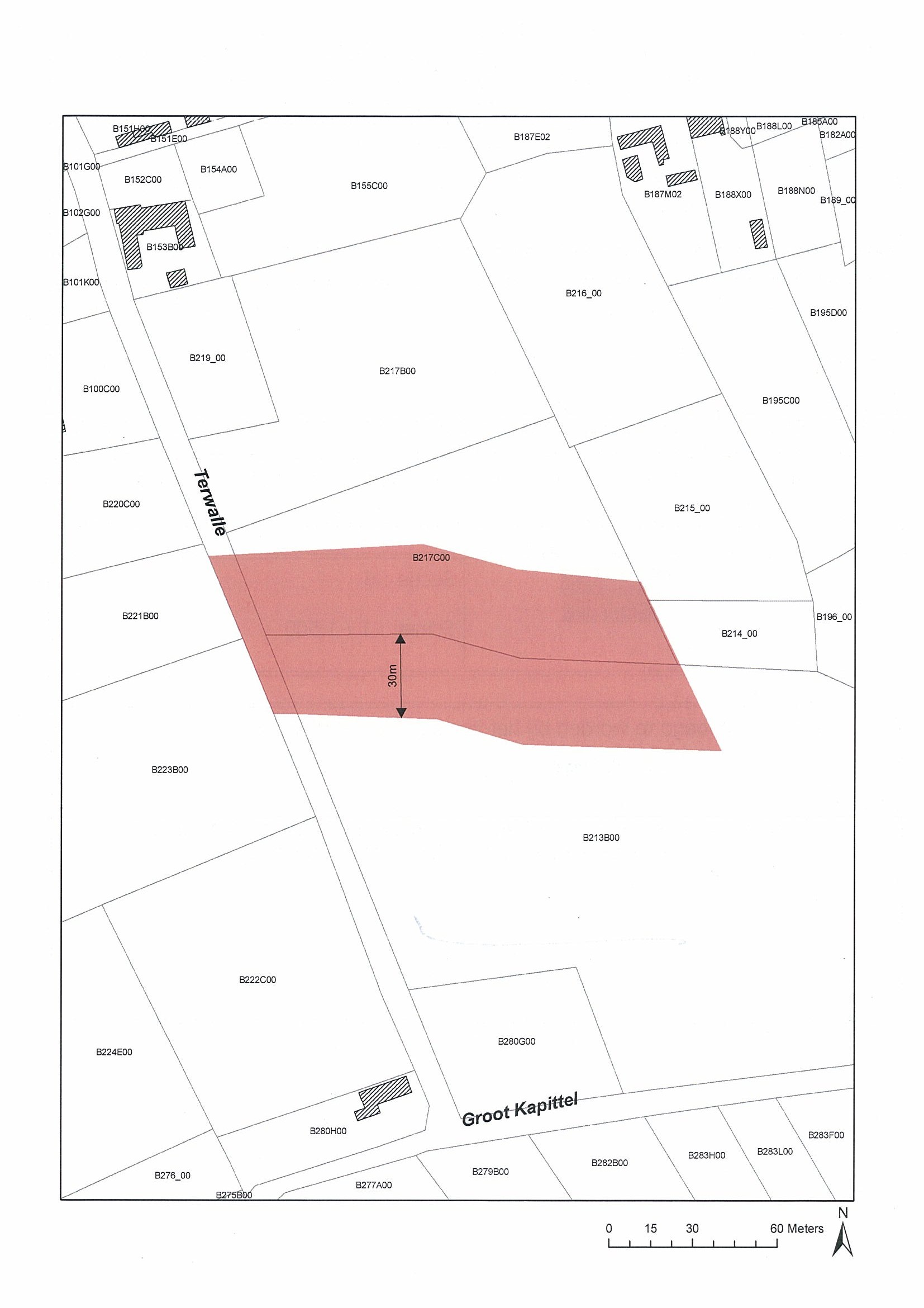
    Plan
    20090616_4_plan_4_recto.jpg
    Plan
    20090616_4_plan_2_verso.jpg
    Plan
    20090616_4_plan_14_recto.jpg
    Plan
    20090616_4_plan_2_recto.jpg
    Plan
    20090616_4_plan_18_verso.jpg
    Plan
    20090616_4_plan_10_verso.jpg
    Plan
    20090616_4_plan_21A_verso.jpg
    Plan
    20090616_4_plan_17_verso.jpg
    Plan
    20090616_4_plan_16_verso.jpg
    Plan
    20090616_4_plan_1_recto.jpg
    Plan
    20090616_4_plan_12_verso.jpg
    Plan
    20090616_4_plan_11_verso.jpg
    Plan
    20090616_4_plan_25_verso.jpg
    Plan
    20090616_4_plan_22_verso.jpg
    Plan
    20090616_4_plan_13_recto.jpg
    Plan
    20090616_4_plan_15_verso.jpg
    Plan
    20090616_4_plan_12_recto.jpg
    Plan
    20090616_4_plan_5_verso.jpg
    Plan
    20090616_4_plan_23_verso.jpg
    Plan
    20090616_4_plan_23_recto.jpg
    Plan
    20090616_4_plan_14_verso.jpg
    Plan
    20090616_4_plan_6_recto.jpg
    Plan
    20090616_4_plan_1_verso.jpg
    Plan
    20090616_4_plan_18_recto.jpg
    Plan
    20090616_4_plan_8_verso.jpg
    Plan
    20090616_4_plan_7_verso.jpg
    Plan
    20090616_4_plan_19_recto.jpg
    Plan
    20090616_4_plan_15_recto.jpg
    Plan
    20090616_4_plan_9_verso.jpg
    Plan
    20090616_4_plan_6_verso.jpg
    Plan
    20090616_4_plan_10_recto.jpg
    Plan
    20090616_4_plan_24_verso.jpg
    Plan
    20090616_4_plan_9_recto.jpg
    Plan
    20090616_4_plan_3_verso.jpg
    Plan
    20090616_4_plan_21A_recto.jpg
    Plan
    20090616_4_plan_19_verso.jpg
    Plan
    20090616_4_plan_20_recto.jpg
    Plan
    20090616_4_plan_7_recto.jpg
    Plan
    20090616_4_plan_5_recto.jpg
    Plan
    20090616_4_plan_20_verso.jpg
    Plan
    20090616_4_plan_21B_verso.jpg
    Plan
    20090616_4_plan_24_recto.jpg
    Plan
    20090616_4_plan_16_recto.jpg
    Plan
    20090616_4_plan_17_recto.jpg
    Plan
    20090616_4_plan_13_verso.jpg
    Plan
    20090616_4_plan_11_recto.jpg
    Plan
    20090616_4_plan_3_recto.jpg
    Plan
    20090616_4_plan_21B_recto.jpg
    Plan
    20090616_4_plan_25_recto.jpg
    Plan
    20090616_4_plan_4_verso.jpg
    Plan
    20090616_4_plan_22_recto.jpg
    Plan
    20090616_4_plan_8_recto.jpg
    Metadata

    Beheerder besluit: Agentschap Onroerend Erfgoed