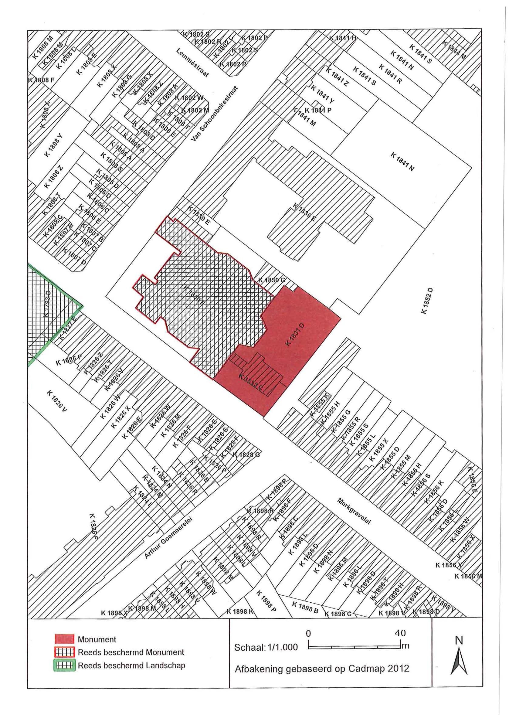
BESLUIT

Pastorie Sint-Laurentiusparochie

ID: 10531 URI : https://id.erfgoed.net/besluiten/10531

Voorlopige beschermingsbesluiten

Aanduidingstype Beschermd monument
Provincie Antwerpen
Uitgevaardigd als Ministeriële besluiten
Ondertekend door Bourgeois, Geert
Datum ondertekening
Belgisch staatsblad Gepubliceerd op , jaargang 183, nummer 215
De digitale publicatie kan je vinden
Opmerkingen v626

Relaties

Wordt gevolgd door: Pastorie Sint-Laurentiusparochie
Definitieve beschermingsbesluiten

Items opgenomen in dit besluit

De gegevens worden opgehaald


    Downloads

    Bestanden
    Alle bestanden downloaden
    Besluit
    20130627_1.pdf
    Plan
    20130627_1_plan_recto.jpg
    Plan
    20130627_1_plan_verso.jpg
    Metadata

    Beheerder besluit: Agentschap Onroerend Erfgoed