BESLUIT

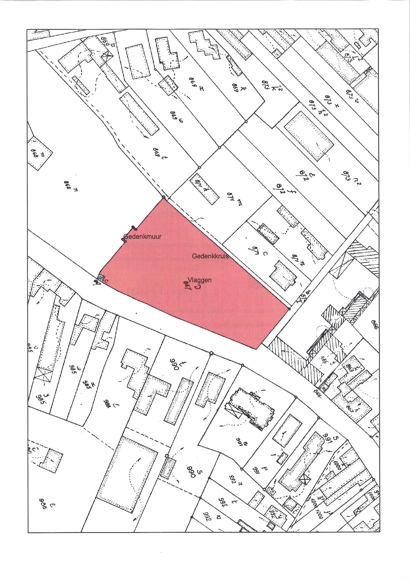
Franse militaire begraafplaats

ID: 10529 URI : https://id.erfgoed.net/besluiten/10529

Voorlopige beschermingsbesluiten

Aanduidingstype Beschermd monument
Provincie Oost-Vlaanderen
Uitgevaardigd als Ministeriële besluiten
Ondertekend door Van Mechelen, Dirk
Datum ondertekening
Belgisch staatsblad Gepubliceerd op , jaargang 178, nummer 11
De digitale publicatie kan je vinden
Opmerkingen te Zulte (Machelen)

Relaties

Wordt gevolgd door: Franse militaire begraafplaats
Definitieve beschermingsbesluiten

Items opgenomen in dit besluit

De gegevens worden opgehaald


    Downloads

    Bestanden
    Alle bestanden downloaden
    Besluit
    20071109_2.pdf
    Plan
    20071109_2_plan_verso.jpg
    Plan
    20071109_2_plan_recto.jpg
    Metadata

    Beheerder besluit: Agentschap Onroerend Erfgoed