BESLUIT

Vakwerkwoning

ID: 10400 URI : https://id.erfgoed.net/besluiten/10400

Voorlopige beschermingsbesluiten

Aanduidingstype Beschermd monument
Provincie Vlaams-Brabant
Uitgevaardigd als Ministeriële besluiten
Ondertekend door Van Mechelen, Dirk
Datum ondertekening
Belgisch staatsblad Gepubliceerd op , jaargang 178, nummer 349
De digitale publicatie kan je vinden
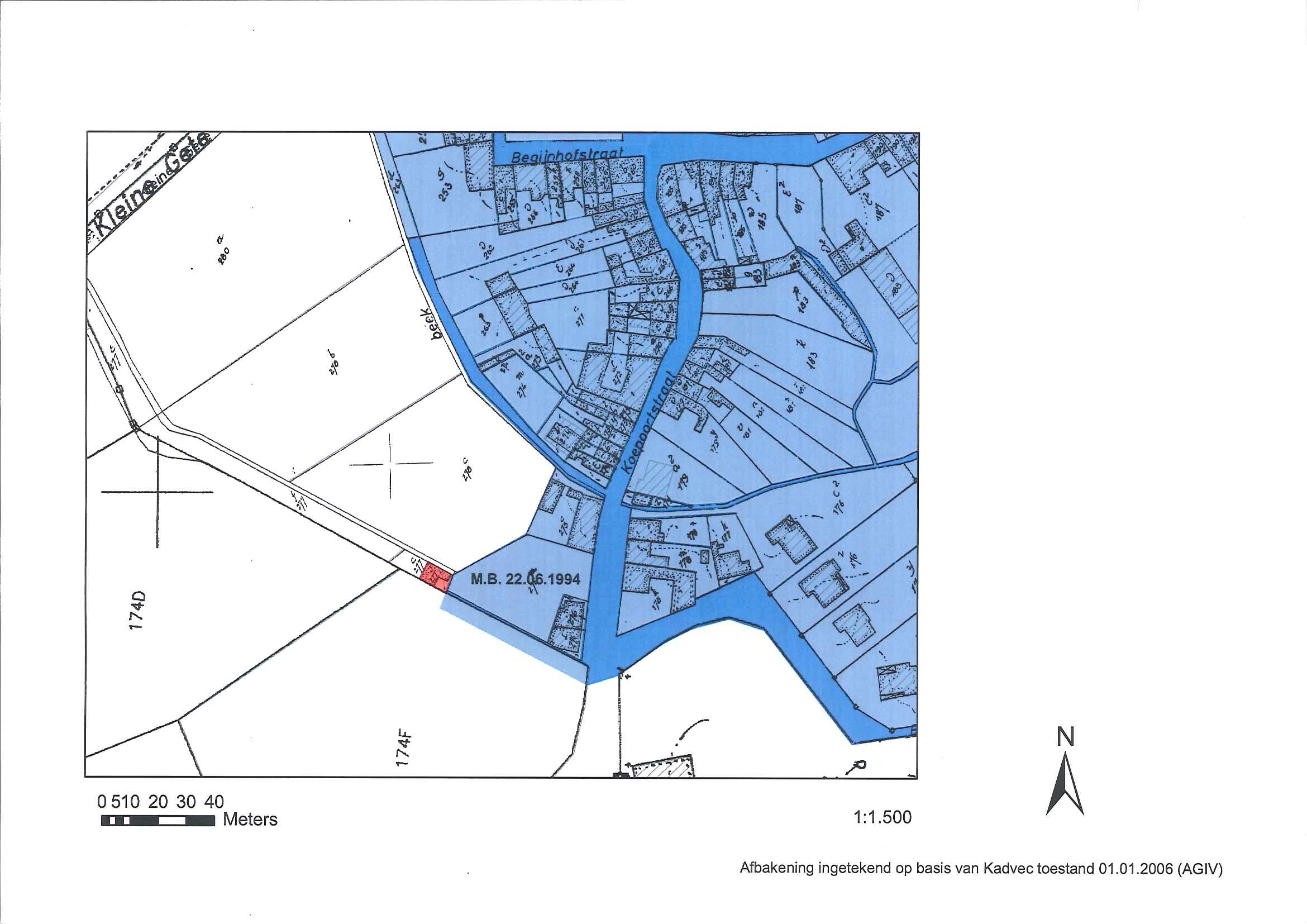
Opmerkingen in de Koepoortstraat te Zoutleeuw (Zoutleeuw)

Relaties

Wordt gevolgd door: Vakwerkwoning
Definitieve beschermingsbesluiten

Items opgenomen in dit besluit

De gegevens worden opgehaald


    Downloads

    Bestanden
    Alle bestanden downloaden
    Besluit
    20080908_1.pdf
    Plan
    20080908_1_plan_verso.jpg
    Plan
    20080908_1_plan_recto.jpg
    Metadata

    Beheerder besluit: Agentschap Onroerend Erfgoed