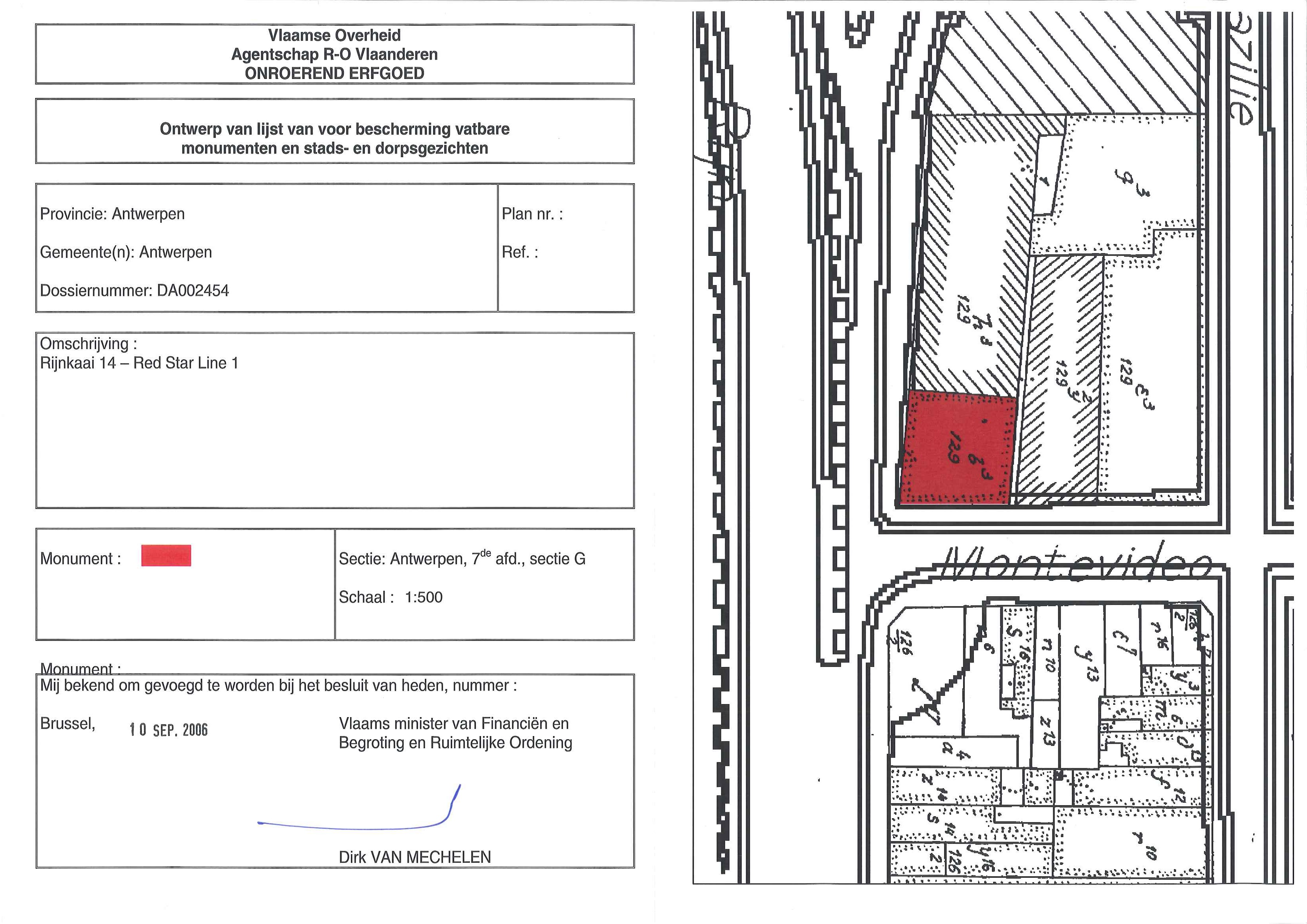
BESLUIT

Rederijgebouwen Red Star Line 1

ID: 10273 URI : https://id.erfgoed.net/besluiten/10273

Voorlopige beschermingsbesluiten

Aanduidingstype Beschermd monument
Provincie Antwerpen
Uitgevaardigd als Ministeriële besluiten
Ondertekend door Van Mechelen, Dirk
Datum ondertekening
Belgisch staatsblad Gepubliceerd op , jaargang 176, nummer 361
De digitale publicatie kan je vinden
Opmerkingen te Antwerpen (Antwerpen)

Relaties

Wordt gevolgd door: Rederijgebouwen Red Star Line 1
Definitieve beschermingsbesluiten

Items opgenomen in dit besluit

De gegevens worden opgehaald


    Downloads

    Bestanden
    Alle bestanden downloaden
    Besluit
    20060910_1.pdf
    Plan
    20060910_1_plan.jpg
    Metadata

    Beheerder besluit: Agentschap Onroerend Erfgoed