BESLUIT

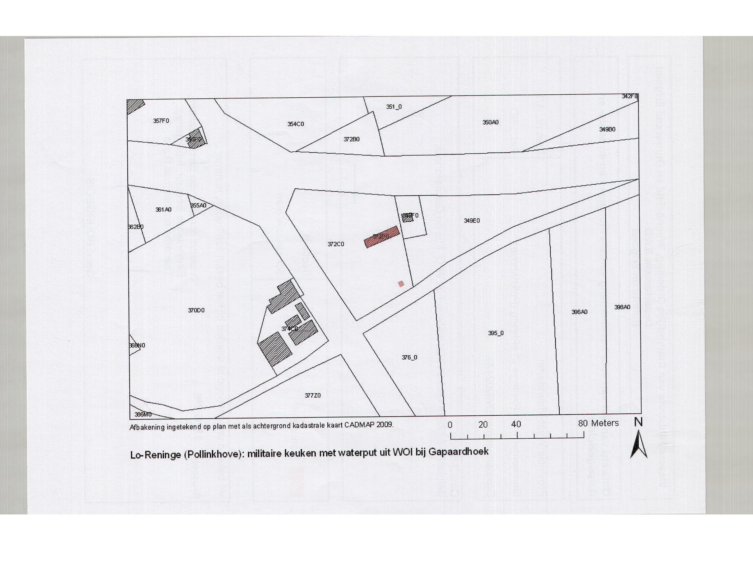
Belgische militaire keuken Gapaardhoek

ID: 10005 URI : https://id.erfgoed.net/besluiten/10005

Voorlopige beschermingsbesluiten

Aanduidingstype Beschermd monument
Provincie West-Vlaanderen
Uitgevaardigd als Ministeriële besluiten
Ondertekend door Bourgeois, Geert
Datum ondertekening
Belgisch staatsblad Gepubliceerd op , jaargang 180, nummer 313
De digitale publicatie kan je vinden
Opmerkingen te Lo-Reninge (Pollinkhove)

Items opgenomen in dit besluit

De gegevens worden opgehaald


    Downloads

    Bestanden
    Alle bestanden downloaden
    Besluit
    20100906_1.pdf
    Plan
    20100906_1_plan_recto.jpg
    Plan
    20100906_1_plan_verso.jpg
    Metadata

    Beheerder besluit: Agentschap Onroerend Erfgoed